Vue lecture

Trop âgées pour trouver un emploi, trop jeunes pour la retraite : les femmes de plus de 50 ans de plus en plus concernées

Les « NER », « ni en emploi ni en retraite » représentent 21 % des 55-61 ans en France sont encore relativement invisibilisés. Les femmes, victimes d’inégalités tout au long de leurs carrières, sont surreprésentées.

© LOUISE QUIGNON POUR « LE MONDE »

Gwenaelle Chauvin, ancienne entrepreneuse, aura épuisé ses droits au chômage en novembre, et basculera alors sous le régime du RSA. A Saint-Brieuc, le 14 octobre 2025.
  •  

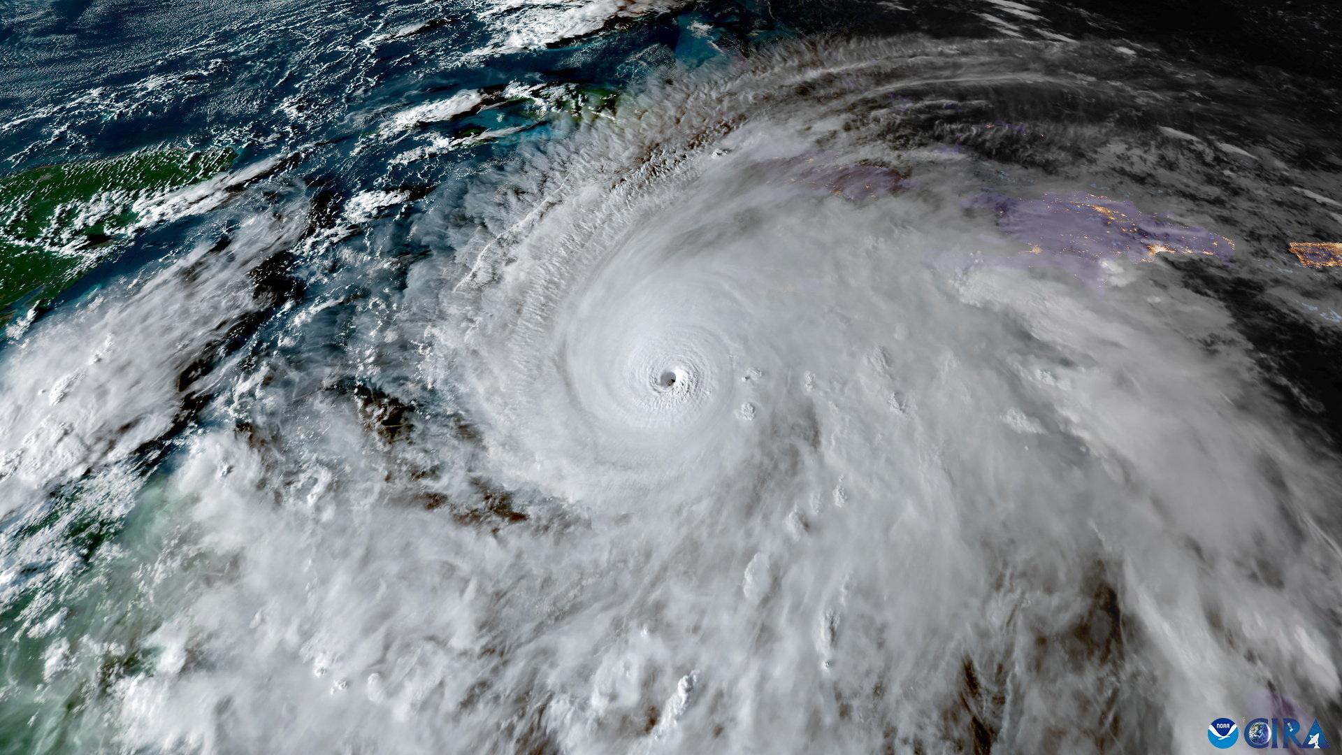
Ouragan Melissa : plus de « 1,5 million de personnes pourraient être touchées » en Jamaïque, craint la Croix-Rouge

Actuellement en catégorie 5, il pourrait s’agir du plus puissant ouragan à toucher terre en Jamaïque. Trois personnes sont mortes dans l’île alors qu’elles se préparaient à son arrivée.

© CSU / CIRA & NOAA / REUTERS

Une vue satellite montre l’ouragan Melissa, au-dessus de la mer des Caraïbes, le 27 octobre 2025.
  •  

Amazon va supprimer 14 000 emplois, une « réduction globale » liée en grande partie à l’IA

Lundi, plusieurs médias américains avaient rapporté qu’Amazon allait entamer mardi ce mouvement d’ampleur, évoquant un total de 30 000 postes touchés sur plusieurs mois à travers le monde.

© Isabel Infantes / REUTERS

Des employés entrent dans les bureaux d’Amazon, à Londres, en Grande-Bretagne, le 28 octobre 2025.
  •  

Rueil-sur-Seine, l’emblématique quartier de bureaux bousculé par la crise

Ce secteur de l’Ouest francilien incarne tous les bouleversements que vit le grand investissement immobilier en France : exil des entreprises, concurrence des zones voisines, quête désespérée de rendement à travers des programmes de logements.

© LOUISA BEN POUR « LE MONDE »

Des bureaux à louer dans le quartier de Reuil-sur-Seine, en bordure de l’A86, à Rueil-Malmaison, dans les Hauts-de-Seine, le 7 octobre 2025.
  •  

Une vingtaine d’étudiants et d’artistes, voix d’une jeunesse palestinienne brisée, ont été évacués de Gaza vers la France

Le groupe, également constitué de quelques adultes, devait arriver à Paris mardi. Ces opérations avaient été stoppées fin juillet après la venue d’une jeune Palestinienne ayant proféré des propos haineux contre les juifs sur X.

© Ebrahim Hajjaj / REUTERS

Un campement de tentes à Gaza, le 2 octobre.
  •  

Au Japon, l’assassin de l’ancien premier ministre Shinzo Abe devant ses juges

Le procès a commencé mardi 28 octobre. Tetsuya Yamagami encourt la peine de mort. La défense doit mettre en avant son passé de victime d’« abus religieux » par la secte Moon.

© Issei Kato/REUTERS

Lors de la cérémonie commémorative du premier anniversaire de l’assassinat du premier ministre japonais Shinzo Abe, au temple Zojoji, à Tokyo, le 8 juillet 2023.
  •  

L’Unédic demande à Matignon de réduire la ponction de l’Etat sur ses finances

Dans une lettre datée de lundi 27 octobre, les gestionnaires de l’assurance-chômage demandent au premier ministre, Sébastien Lecornu, que le prélèvement sur les finances du régime soit ramené à 2,8 milliards d’euros en 2026, soit 1,3 milliard de moins que ce qui est prévu.

© EMMA DA SILVA/AFP

Le logo de l’Union nationale interprofessionnelle pour l’emploi dans l’industrie et le commerce (Unédic), à Paris, le 12 juin 2025.
  •  

Formation, intensité, impact du réchauffement... Comment naissent les ouragans

DÉCRYPTAGE - Ces enroulements nuageux qui prennent naissance au-dessus des eaux chaudes des régions tropicales sont les phénomènes météorologiques les plus violents et destructeurs de notre planète.

© CSU/CIRA & NOAA / REUTERS

L’ouragan Melissa pourrait toucher au moins 1,5 million de personnes, a averti la Croix-Rouge mardi.
  •  

Budget 2026 : le crédit d’impôt pour l’emploi d’un salarié à domicile dans le viseur de députés

«Sept milliards d’euros, on peut se demander si le jeu en vaut la chandelle», alors que l’État «subventionne l’emploi privé» grâce à ce dispositif, a argumenté l’insoumis Éric Coquerel, ce mardi. Lors des débats, les députés ont diminué le plafond du crédit d’impôt, à 10.000 euros par an.

© Benoit Tessier / REUTERS

Pour rappel, ce crédit d’impôt bénéficie à tous les ménages qui veulent engager des dépenses au titre de services à la personne.
  •  

Jean-Éric Schoettl : «Tout céder au Parti socialiste n’est pas la seule façon de donner un budget à la France»

TRIBUNE - Dans le seul but d’éviter une censure, le gouvernement de Sébastien Lecornu semble prêt à renier sa politique économique en cédant au chantage de la gauche, déplore l’ancien secrétaire général du Conseil constitutionnel. Pourtant, une autre voie est possible, explique-t-il.

© Sarah Meyssonnier / REUTERS

«Il faudrait donc, nous dit-on, déjouer ce scénario quoi qu’il en coûte, c’est-à-dire en cédant au chantage du groupe parlementaire qui tient entre ses mains la survie du gouvernement.»
  •  

Chômage : le nombre d’inscrits à France Travail augmente de 1,6% au troisième trimestre

Les chiffres publiés ce mardi montrent une hausse du nombre de chômeurs à la rentrée 2025. Ces statistiques sont toutefois bousculées par un nouveau décret sur les sanctions appliquées aux demandeurs d’emploi, entré en vigueur en juin 2025.

© HJBC / stock.adobe.com

Le nombre d’inscrits à France Travail en catégorie A a augmenté de 1,6% sur le dernier trimestre.
  •  

Le batteur américain de jazz, Jack DeJohnette est mort

L’ancien complice de Miles Davis et Keith Jarrett est décédé le 26 octobre à l’âge de 83 ans. Légende du jazz, il a remporté deux Grammy Awards en 2009 et 2022.

© Gerry Walden/Bridgeman Images

Le batteur et pianiste de jazz américain, Jack DeJohnette, a joué avec des légendes du jazz : Miles Davis, John Coltrane et Theolonius Monk.
  •  

Saint-Malo : une passagère crie «Allah Akbar» et tente de s’emparer d’un bus en pleine circulation

La femme d’une trentaine d’années a été interpellée sans résistance quelques minutes après les faits. Provoquant un freinage d’urgence, une passagère blessée légèrement est à déplorer.

© Illustrations - Dmitry Vereshchagin / stock.adobe.com

Le chauffeur a réussi à reprendre le contrôle du bus en déclenchant un freinage d’urgence.
  •  

L’adoption de l’intelligence artificielle incite la Fed à baisser ses taux

DÉCRYPTAGE - Le net ralentissement de l’emploi devrait conduire la Réserve fédérale américaine à un nouvel assouplissement. Les grandes entreprises américaines misent sur l’innovation technologique pour doper la productivité.

© Elizabeth Frantz / REUTERS

Le président de la Fed, Jerome Powell, le 17 septembre 2025.
  •  

Puigdemont rompt avec les socialistes espagnols : “Rien ne change, mais tout change”

Depuis le sud de la France, lundi 27 octobre, l’indépendantiste catalan exilé a décidé de passer dans l’“opposition” au gouvernement de gauche espagnol. La rupture entre Carles Puigdemont et le Premier ministre espagnol, Pedro Sánchez, semblait inéluctable pour le quotidien “El Periódico de Catalunya”.

© El Periódico de Catalunya

“Puigdemont rompt avec le PSOE [Parti socialiste ouvrier espagnol]”, titre le quotidien barcelonais “El Periódico de Catalunya”, le 28 octobre 2025.
  •  

Google relance une centrale nucléaire aux États-Unis pour nourrir le boom de l’IA

Duane Arnold, dans l’Iowa, était fermée depuis 2021. Le 27 octobre, Google a annoncé un accord avec NextEra Energy pour sa remise en service d’ici à 2029, confirmant la tendance de la tech à investir dans une énergie peu émettrice de gaz à effet de serre pour alimenter en électricité ses centres de données pour l’intelligence artificielle.

© KELSEY MCCLELLAN / NYT

Le siège de Google à Mountain View, en Californie, le 22 juillet 2025.
  •  

Sur le dossier du Sahara occidental, la clé se trouve à Moscou

Le Conseil de sécurité des Nations unies doit examiner, fin octobre, une nouvelle résolution sur le Sahara occidental dont le texte, préparé par les États-Unis, est favorable au Maroc. Mais pour qu’il soit adopté il a besoin de l’aval de la Russie, qui continue d’entretenir le flou sur sa position.

© PHOTO AFP

Les États-Unis s’apprêtent à soumettre une résolution à l’ONU sur le Sahara occidental largement alignée sur la position marocaine.
  •